Loading…

ROLEX - Azor drift-cam project

ROLEX - Azor drift-cam project

ROLEX - Azor drift-cam project

Loading project…

ROLEX - Azor drift-cam project

Period: 01 Jan 2022 to 31 Dec 2023

Funding: 1 source(s)

AZORES DEEP-SEA RESEARCH
Time period

01 Jan 2022 to 31 Dec 2023


External website
Funding
Other ROLEX

ROLEX

Budget: 50,000.00 €

Summary

ROLEX - Azor drift-cam project

However, until recently, the amount of information available regarding the diversity, composition and spatial distribution of benthic species and communities was very limited. In 2019, the Azores Deep-Sea Research Group developed the Azor drift-cam, a cost-effective video platform designed to conduct rapid appraisals of deep-sea benthic habitats down to 1,000m depth. In the past few years, the Azor drift-cam has proven to be a fundamental tool to gather scientific data at large spatial scales in the Azores to inform deep-sea management and conservation, namely the process of enlarging the existing network of Marine Protected Areas and achieving the targets set by the EU 2030 Biodiversity Strategy and the UN 2030 Sustainable Development agenda.

The collaboration with Rolex through allowed us to continue developing deep-sea exploration in the Azores to better understand the diversity, distribution and health condition of deep-sea benthic communities and inform the conservation and sustainable management of the ocean. This project benefitted from other ongoing research projects such as the “Characterization of deep-sea habitats of the Azores” funded by the Azores Government, the European Union H2020 projects ATLAS and iAtlantic, and the Fundação para Ciência e Tecnologia scientific employment program. These projects supported most of the staff working hours, ship-time and laboratory analyses.

The Azores Exclusive Economic Zone (EEZ) is characterized by a complex marine seafloor, home to a large number of seamounts, ridges, trenches and abyssal plains. This variety of landscapes host rich benthic ecosystems, where hydrothermal vents, coral gardens and sponge grounds are commonly observed. The benthic habitats of the Azores are exposed to anthropogenic pressures, which can put their long-term preservation at risk. Identifying areas of ecological relevance, such as those that fit the FAO criteria for defining Vulnerable Marine Ecosystems (VME), is currently of upmost importance to implement efficient management measures that would ensure the protection of the natural heritage in commitment with a sustainable use of marine resources.

Show less ↑
Show more ↓

Our Team's role

Azores Deep-sea Research

We lead this small project building three replicas of the Azor drift-cam that contributed to the long-term objective of our research group of visiting all 140 geomorphological features (e.g., seamounts, ridges, island slopes) shallower than 1,000 m depth found in the Azores.

Involved team members

Collaborators

António Silveira

Main results

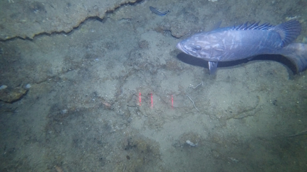
During 2022 and 2023, we were able to conduct three major research cruises with the Azor drift-cam to complement the existing information related to deep-sea benthic biodiversity in the Azores down to 1,000 m depth. These cruises were conducted on board the research vessel (RV) Arquipélago (owned by the Azores Government) and the Maritime Tourist (MT) vessel Physeter, which was specifically used to explore areas closer to the islands. Altogether, the three research cruises lasted approximately 136 days at sea: 33 days in 2022 (all with RV Arquipélago) and 103 days in 2023 (74 with MT Physeter and 29 with RV Arquipélago), corresponding to about 630 people/day at sea. We were able to perform a total of 491 dives, covering about 280 km of seafloor and producing more than 480 hours of seafloor video footage, visiting 78 unexplored areas inside the Azores EEZ.

The field expeditions conducted in 2022 and 2023 unveiled new species and benthic communities, and helped towards identifying new areas that fit the definition of Vulnerable Marine Ecosystems (VMEs) by FAO. The scientific data compiled informed the expansion of the Azores network of Marine Protected Areas.

  1. Seamounts exploited by bottom longline fishing still hold high natural and ecological value. The large-scale deep-sea exploration provided valuable insights into the state of deep-sea benthic ecosystems within some of the Azores' primary demersal fishing grounds. It revealed that banks and seamounts heavily exploited by bottom longline fishing are still home to deep-sea benthic communities that have a high natural and ecological value. A significant portion of these communities, including cold-water corals and sponge grounds, remains in good environmental condition. However, it is noteworthy that certain long-lived coral colonies displayed evident signs of fishing impacts. These in-situ observations reinforce the idea that regulated deep-sea fishing practices, particularly those employing hook-and-line gear such as handlines, hold promise to foster a more sustainable way to exploit deep-sea resources.
  2. Black corals older than 1.000 years discovered in Princesa Alice. For the first time ever, we explored the deep-sea habitats of Princesa Alice seamount, considered the most important fishing ground of the Azores. Interestingly, some basalt outcrops found at around 800-900 m depth were densely colonized by black corals of the species Leipathes expansa. Most of the colonies observed seemed healthy, particularly some of the larger ones, likely older than 1.000 years, and hosted a large number of associated species.
  3. Margrette, the easternmost shallow seamount of the Azores archipelago. Our expeditions with the Azor drift-cam allowed for the the first-ever dives to be conducted on Margrette seamount, the easternmost part of the Azores archipelago with depths shallower than 1,000 meters. Margrette Seamount presented a complex geological morphology, characterized by numerous vertical walls that posed challenges to our exploratory efforts.
  4. Large aggregations of Callogorgia verticillata in Grande Norte. Despite also being an area heavily exploited by bottom fishing, the benthic communities of Grande Norte seamount appeared to be in a good environmental condition, displaying large aggregations of the octocoral Callogorgia verticillata. These findings contribute to the growing body of evidence suggesting that hook-and-line fishing exerts lesser impacts to deep-sea fauna compared to other fishing gears, as for example bottom trawling. This underscores the importance of understanding the differential impacts of various fishing methods on the marine environment and highlights the potential for sustainable fishing practices while supporting healthy benthic communities.
  5. *Sedlo, an Essential Fish Habitat*. From 2002–2005, Sedlo seamount was the focus of a multidisciplinary EU project, OASIS (Oceanic Seamounts: An Integrated Study), which speculated with the presence of one of the Azores’ most important spawning grounds for orange roughy (Hoplostethus atlanticus) and alfonsinos (Beryx decadactylus*). Deep-sea explorations with the Azor drift-cam contributed with supporting evidence to consider Sedlo seamount as an Essential Fish Habitat. We found that Sedlo and other neighbouring seamounts are home to the highly endangered deep-sea fish orange roughy and host a high number of deep-sea shark species, some of which rarely observed in the Azores.
  6. Hard Rock Café, named after the large schools of orange roughy. Another special achievement of these surveys was the exploration of Hard Rock Café seamount. The Portuguese Hydrographic Institute (IH) had mapped this seamount in 2020 and, due to its characteristics, was listed as a priority area for inclusion in the expansion of the Azores Marine Park. Deep-sea explorations with the Azor drift-cam contributed with supporting evidence to consider Hard Rock Café and Isolado seamount as Essential Fish Habitats. We found that these areas were both home to the highly endangered deep-sea fish orange roughy (Hoplostethus atlanticus) and large schools of the wreckfish Polyprion americanus. These areas also showed a high number of deep-sea shark species, some of which rarely observed in the Azores.
  7. Diogo de Teive, a pristine area and a priority for conservation. Deep-sea explorations with the Azor drift-cam confirmed that Diogo de Teive seamount may classify as a near-natural or pristine area. Mapped by the Portuguese Hydrographic Institute (IH) in 2019, this seamount was found to be much shallower than previous maps indicated. Due to the lack of documented fishing events, Diogo de Teive was classified as a potential near-natural or pristine area. During our explorations, we encountered numerous large and intact colonies of the octocoral Callogorgia verticillata, displaying no discernible signs of fishing-related impacts. Additionally, we also encountered large schools of the wreckfish Polyprion americanus thriving in the area. While further exploration may be warranted to fully understand the environmental status and ecological importance of this seamount, this area should be kept in the list of priority areas for conservation in the Azores. The preservation of Diogo de Teive, as well as other pristine areas, is critically important to safeguard marine habitats for future generations.
  8. Damaged colonies of Callogorgia verticillata found in Cachalote. The emblematic Cachalote seamount (i.e., sperm whale seamount) was finally explored with the Azor drift-cam in 2022. The Portuguese Hydrographic Institute (IH) previously mapped this seamount in 2018, revealing its flat-topped structure. Our explorations revealed a vertical stratification of the benthic communities, with extensive gardens of the primnoid corals Narella bellissima and Narella versluysi at depths of 700 to 900 meters, alongside areas featuring the bamboo coral Acanella arbuscula. At shallower depths (500-600 m), coral gardens dominated by species like Callogorgia verticillata and Viminella flagellum were observed, amidst a diverse array of corals and sponges. The exploration also documented numerous lost fishing lines with many large colonies of Callogorgia verticillata showing signs of fishing impacts, such as broken or missing branches.
  9. Formigas, a seamount with ecological significance. During the expedition to the shallower regions of the Formigas seamount Marine Protected Area, the dives with the Azor drift-cam unveiled one of the largest and densest aggregations of the primnoid coral Callogorgia verticillata ever documented in the Azores. This impressive aggregation was found on the northern slopes of Formigas, underscoring the ecological significance of the area. Other well-preserved communities were also observed, such as dense coral gardens with the whip coral Viminella flagellum and aggregations of deep-sea sponges including the “bird nest” Pheronema carpenteri. Despite its protection status, we were surprised by the substantial presence of lost or abandoned fishing lines scattered across the seabed, highlighting ongoing challenges in marine conservation and management.
  10. Dense patches of large bubblegum corals found in the slopes of Flores. The exploration of the deep-sea slopes of Flores island, located on the westernmost part of the Azores, has unveiled two remarkable dense patches of large pink and white bubblegum corals (Paragorgia johnsoni), reminiscent of those discovered in the Gigante Western Ridge in 2018. These areas hold promise for potentially breaking the record for the densest bubblegum coral gardens in the Azores. Despite some signs of impacts, such as broken colonies and branches scattered on the seafloor, most corals appeared to be in relatively good condition. The biodiversity surrounding Flores island's steep slopes proved to be equally stunning, with a diverse array of benthic communities featuring various species of cold-water corals, including the octocorals Callogorgia verticillata, Dentomuricea cf. meteor, Viminella flagellum and Acanthogorgia sp. and the black corals Leiopathes expansa and Elatopathes abietina. The rich and diverse marine life found in the deep-sea environments surrounding Flores island highlights the importance of continued research and conservation efforts in the region.
  11. Impressive deep-sea fauna encountered on the slopes around Terceira. The abundance, diversity and condition in which the several benthic communities observed were found thriving on Terceira island’s slopes was particularly special. Despite this previously unexplored area has been subject to considerable fishing effort, most of the benthic fauna appeared healthy and harboured many associated fish species. We observed uncommonly large specimens of the coral Dentomuricea aff. meteor, quite possibly the largest specimens recorded so far in the Azores region, and aggregations of the black corals Leiopathes glaberrima and Leiopathes expansa. We also observed small primnoid corals of a species yet to be identified.
  12. Densely populated benthic communities observed in the slopes of São Miguel. In 2023, we conducted a pioneering scientific survey with the specific aim of characterizing and mapping deep-sea benthic communities around the island of São Miguel. Particularly notable were the discoveries made of some very dense coral aggregations, including reefs made by the scleractinian coral Eguchipsammia cf. cornucopia, extraordinary coral gardens of the bubble gum coral Paragorgia johnsoni, or aggregations of the primnoid corals Narella bellissima and Narella versluysi in remarkably high densities. Also noteworthy were the widespread aggregations of the "bird nest" sponge Pheronema carpenteri.
  13. Rich biodiversity found on the slopes of Santa Maria. During our first visual surveys of the slopes surrounding Santa Maria island, we encountered diverse and vibrant benthic communities. We discovered black corals of the genus Leiopathes, indicating the presence of deep-sea habitats of significant ecological importance, flourishing coral gardens composed of Narella versluysi and Narella bellissima, alongside sponge grounds inhabited by the "bird nest" Pheronema carpenteri. As we ascended to shallower areas, we observed coral gardens composed of Viminella flagellum and Callogorgia verticillata, as well as aggregations of giant sponges from the genus Characella. These findings highlight the rich biodiversity and varied habitat complexity present on the slopes of Santa Maria island, underscoring the need for continued exploration and conservation efforts to protect these valuable marine ecosystems.
  14. Isolated seamounts host rich and diverse deep-sea benthic communities. Most isolated seamounts between the islands of Pico and Santa Maria, such as Albatroz N, Albatroz do Meio, Ferraria N, Ferraria Mar, Girard, Maria Celeste, Mar da Prata and Grande Norte, host interesting deep-sea benthic communities. Deeper areas were characterized by the presence of abundant coral gardens of both Narella versluysi and Narella bellissima, sometimes, in aggregation with Callogorgia verticillata, Acanthogorgia sp. or Leiopathes expansa, and sponge grounds with the “bird’s nest” Pheronema carpenteri, as well as extensive areas with deposits of coral rubble. Shallower areas were mainly characterized by large gardens of Viminella flagellum, sometimes associated with Callogorgia verticillata and other times with frequent and large colonies of Dentomuricea aff. meteor. The Sauerwein ridge had a surprisingly low biodiversity, highlighting the need to better understand the environmental drivers behind the spatial distribution of benthic communities in the Azores.
  15. One seamount less. We also visited a seamount named Petrov. This area does not yet have high-resolution bathymetry data, so we tried to prospect the area looking for a peak between 300 m and 1,000 m depth. However, after searching around using the Azor drift-cam, we were unable to find areas with depths shallower than 1,000 m. This area is hence much deeper than current nautical charts demonstrate and highlight, once again, the importance of carrying out multibeam bathymetry surveys in the Azores.
  16. Lost fishing lines hamper the acquisition of deep-sea biodiversity data. As in previous years, the presence of lost fishing lines made our deep-sea exploration challenging. After the Azor drift-cam got caught on several fishing lines, mainly during our work around Faial and Pico islands (e.g., Princesa Alice and São Mateus seamounts), São Miguel island (e.g., Mar da Prata and Grande Norte seamounts) and Kurchatov SE, we managed to get the system released every time only to report minor structural damages. This collateral fishing impact may hamper the acquisition of deep-sea biodiversity data to inform management, and deserves to be better quantified.
  17. Impacts of the invasive algae Rugulopteryx okamurae may reach the deep sea. The presence of the invasive algae Rugulopteryx okamurae, which has proliferated across most Azorean shores in recent years, has raised concerns as it was frequently observed in large patches extending to depths of approximately 900 m. This suggests that the impact of this species may not be confined solely to coastal areas, but could also extend into the deep-sea habitats of the Azores region.
Show less ↑
Show more ↓
Cruise Report - NICO Cruise Leg 12, Hopper dives on board of R/V Pelagia
Zenodo
|
Jan, 2019
2 team members are authors
OA DOI 10.5281/zenodo.3416992
Authors 10.5281/zenodo.3416992
Dominguez-Carrió, Carlos
Gollner, Sabine Visser, Fleur
Morato, Telmo
Abstract
Objectives: to explore deep-sea areas of the Azores EEZ to better understand the distribution patterns of large VME species and commercial fishes. Specifically, IMAR/ATLAS objectives in the cruise were to (i) characterize benthic communities inhabiting unexplored seamounts, such as Cavalo and São Jorge de Fora seamounts, (ii) identify new areas that fit the FAO vulnerable marine ecosystems definition; and (iii) determine distribution patterns of deep-sea benthic biodiversity in the Azores. The results of this cruise will also contribute to identify the environmental drivers that determine the spatial distribution of deep-sea benthic biodiversity in the Azores region. It will also provide valuable information in the context of Good Environmental Status (GES), Marine Spatial Planning (MSP) and provide new insights on how to sustainably manage deep-sea ecosystems. The information gathered in this cruise was obtained by means of the Hopper tow-cam system, an HD video platform specially designed to be operated on board of the R/V Pelagia.
Cruise Report - MapGES / ATLAS Project: August 2018 Cruise on board of R/V Arquipélago
Zenodo
|
Jan, 2019
7 team members are authors
OA DOI 10.5281/zenodo.3417021
Abstract
Objectives: to explore seamounts of the Azorean archipelago to better understand the distribution patterns of large VME species and commercial fishes. Namely, the cruise aimed to (i) map benthic communities inhabiting unexplored seamounts and banks in the Central (Dom João de Castro) and Eastern (Alcatraz and Mar da prate) part of the Azores Region, (ii) identify new areas that fit the FAO vulnerable marine ecosystems definition; and (iii) determine distribution patterns of deep-sea benthic biodiversity in the Azores. The results of this cruise will also contribute to identify the environmental drivers that determine the spatial distribution of deep-sea benthic biodiversity in the Azores region. It will also provide valuable information in the context of Good Environmental Status (GES), Marine Spatial Planning (MSP) and provide new insights on how to sustainably manage deep-sea ecosystems. The devices used in this survey correspond to low-cost custom made video platforms designed to operate between 200 and 500 m depth.
Nothing to show yet... Try again later.
Spatial distributions, environmental drivers and co-existence patterns of key cold-water corals in the deep sea of the Azores (NE Atlantic)
Deep Sea Research Part I Oceanographic Research Papers
|
Mar, 2023
7 team members are authors
OA Citations 20 DOI 10.1016/j.dsr.2023.104028
A cost‐effective video system for a rapid appraisal of deep‐sea benthic habitats: The Azor drift‐cam
Methods in Ecology and Evolution
|
Apr, 2021
2 team members are authors
OA Citations 38 DOI 10.1111/2041-210x.13617
Authors 10.1111/2041-210x.13617
Abstract
Abstract Deep‐sea exploration relies on cutting‐edge technology, which generally requires expensive instruments, highly specialized technicians and ship time. The increasing need to gather large‐scale data on the distribution and conservation status of deep‐sea benthic species and habitats could benefit from the availability of low‐cost imaging tools to facilitate the access to the deep sea world‐wide. Here we describe the Azor drift‐cam, a cost‐effective video platform designed to conduct rapid appraisals of deep‐sea benthic habitats. Built with off‐the‐shelf components, the Azor drift‐cam should be regarded as an effective, affordable, simple‐to‐assemble, easy‐to‐operate, resilient, operational and reliable tool to visually explore the deep sea to 1,000 m depth. Its performance was assessed during the MapGES_2019 cruise, where 135 successful dives between 100 and 800 m depth were carried out in 22 working days, providing over 100 hr of images for almost 80 km of seabed, mostly in areas that had never been explored before. The system does not aim to become a substitute for more sophisticated underwater video and photography platforms, such as ROVs, AUVs or manned submersibles. Rather, it aims to provide the means to perform quick assessments of deep‐sea benthic habitats in a simple and affordable manner. This drift‐cam system has the potential to make deep‐sea exploration more accessible, playing an important role in the Deep‐Ocean Observing Strategy and measuring some of the Essential Ocean Variables for deep‐sea monitoring and conservation strategies.
Predicting the distribution and abundance of abandoned, lost or discarded fishing gear (ALDFG) in the deep sea of the Azores (North Atlantic)
The Science of The Total Environment
|
Aug, 2023
9 team members are authors
OA Citations 19 Rising DOI 10.1016/j.scitotenv.2023.166579
Authors 10.1016/j.scitotenv.2023.166579
Emily M. Duncan Nina Vieira
José Manuel González‐Irusta
Carlos Dominguez‐Carrió
Telmo Morato
Marina Carreiro‐Silva
Joachim Jakobsen Kirsten Jakobsen
Filipe M. Porteiro
Nina Schläpfer Laura Herrera
Manuela Ramos
Yasmina Rodríguez
João Pereira
Laurence Fauconnet
Luís Rodrigues
Hugo Parra Christopher K. Pham
Abstract
Abandoned, lost, or discarded fishing gear (ALDFG), represents a significant percentage of the global plastic pollution, currently considered one of the major sources from sea-based activities. However, there is still limited understanding of the quantities of ALDFG present on the seafloor and their impacts. In this study, data on the presence of ALDFG was obtained from a large archive of seafloor video footage (351 dives) collected by different imaging platforms in the Azores region over 15 years (2006-2020). Most ALDFG items observed in the images relate to the local bottom longline fishery operating in the region, and include longlines but also anchors, weights, cables and buoys. A generalized additive mixed model (GAMM) was used to predict the distribution and abundance of ALDFG over the seafloor within the limits of the Azores Exclusive Economic Zone (EEZ) using a suite of environmental and anthropogenic variables. We estimated an average of 113 ± 310 items km-2 (597 ± 756 per km-2 above 1000 m depth), which could imply that over 20 million ALDFG items are present on the deep seafloor of the Azores EEZ. The resulting model identified potential hotspots of ALDFG along the seabed, some of them located over sensitive benthic habitats, such as specific seamounts. In addition, the interactions between ALDFG and benthic organisms were also analysed. Numerous entanglements were observed with several species of large anthozoans and sponges. The use of predictive distribution modelling for ALDFG should be regarded as a useful tool to support ecosystem-based management, which can provide indirect information about fishing pressure and allow the identification of potential high-risk areas. Additional knowledge about the sources, amounts, fates and impacts of ALDFG will be key to address the global issue of plastic pollution and the effects of fishing on marine ecosystems.

ROLEX - Azor drift-cam project Gallery

Follow us on social media to stay updated

Location

Institute of Marine Sciences — Okeanos, University of the Azores

Departamento de Oceanografia e Pescas — Universidade dos Açores

Rua Prof. Doutor Frederico Machado, No. 4
9901-862 Horta, Portugal

Contact

FOLLOW US
ADSR

AZORES DEEP-SEA RESEARCH © 2020-2026 — RELEASE 2.1

Developed by Valter Medeiros VALTER MEDEIROS