MapGES 2025 MT Physeter

Mapping deep-sea biodiversity and “Good Environmental Status” in the Azores

Logo

MapGES 2025 MT Physeter

Loading cruise data…

Mapping deep-sea biodiversity and “Good Environmental Status” in the Azores

Location: Faial N, Graciosa NE and S, Vasco Gil N, Ilha Azul E, Terceira E, Beirada de Fora, Maçarico, João de Melo and Pico NW.

Year: 2025

41 stations

41 dives

829 km transits

11 areas visited

AZORES DEEP-SEA RESEARCH

Summary

Mapping deep-sea biodiversity and “Good Environmental Status” in the Azores

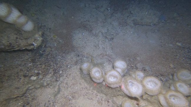
The MapGES 2025 cruise aboard MT Physeter consisted of 1 leg, divided in 3 parts, aimed at exploring and revisiting slopes, banks, ridges, and seamounts surrounding Faial, Pico, Graciosa and Terceira Islands. A total of 40 successful dives were conducted out of 41 planned, covering 11 sampling areas. During Leg 1a, on the 4th of June, we performed 2 successful dives with the Azor drift-cam. These first deployments surveyed the deep-sea benthic communities dwelling on the slopes of the geomorphological structures on the north flank of Faial Island. These first dives were also a practical test to experience some add-ons on our structure, such as the external feeding of the GoPro camera, the implementation of a second spotlight, the use of a 1500m umbilical cable and the USBL system. During the Leg 1b, from 21st June to 1st of July, we performed 35 successful dives with the Azor drift-cam around Graciosa and Terceira Island slopes and some adjacent geomorphological structures such as Vasco Gil, Ilha Azul E and João de Melo. Several deep dives (>1000 m) were performed during this leg with no major problems across the components of the drift-cam. During the Leg1c, on the 25th of July, we performed 3 successful dives with the Azor drift-cam on the deeper sectors of the NW slopes in Pico Island. During this year’s survey we observed diverse benthic and fish communities, from which we may highlight impressive and extensive aggregations of the primnoid corals Narella versluysi and N. bellissima, in Ilha Azul E, the notably large specimens of the octocoral Callogorgia verticillata, in Maçarico, the black corals Leiopathes expansa, in Beirada de Fora, and Antipathes dichotoma, in Vasco Gil. Also, an incredible and most likely record-breaking aggregation of anguilliform fishes Halosauridae was recorded at approximately 900 m depth in Graciosa S area.

MapGES 2025 continues our longstanding commitment to map deep-sea biodiversity and identifying Vulnerable Marine Ecosystems (VMEs) in the Azores with the Azor drift-cam imagery system. Our 2025 expedition aimed to enhance the data collected in previous surveys by conducting new video transects along the slopes of several islands in the archipelago, including Faial, Pico, Graciosa and Terceira. This fieldwork focused mostly on under-sampled areas and deeper strata. Additionally, we planned to explore one new area, specifically Vasco Gil seamount. Our ultimate goal is to achieve a comprehensive understanding of the deep-sea fauna dwelling on the slopes, banks, and seamounts in these areas. Like previous MapGES cruises, our objectives included: (i) mapping benthic communities in previously unexplored seamounts, ridges, and island slopes; (ii) identifying new areas that meet the FAO definition of Vulnerable Marine Ecosystems; and (iii) determining the distribution patterns of deep-sea benthic biodiversity in the Azores. The results of this cruise added to the previous contributions to identify the environmental drivers that determine the spatial distribution of deep-sea benthic biodiversity in the Azores. It also provides valuable information in the context of Good Environmental Status (GES), Marine Spatial Planning (MSP) and new insights on how to sustainably manage deep-sea ecosystems.

Show less ↑
Show more ↓

Statistics

Transits
829 km
Multibeam Bathymetry
km²
Filmed Seabed
30.8 km
Visited Areas
11
Stations
41
Dives
41
Video Footage Recorded
49 hours
Used Storage
2.3 Tb
Samples
0

Highlights

  1. During the MapGES 2025 survey conducted aboard the MT Physeter, 41 stations were completed using the Azor drift-cam. The stations spanned depths ranging from 205 to 1130 m, encompassing a broad spectrum of marine strata. The survey covered approximately 31 km of the seafloor and generated more than 49 hours of video footage for analysis. These numbers represent a big achievement considering that we successfully operated, once again, the Azor drift-cam for deep-sea exploration on board a small vessel and this year with several improvements on our system, including an umbilical cable of 1500m, the underwater positioning system (USBL), the external power feeding of the GoPro camera and the addition of a second spotlight.
  2. This year’s survey aimed to complete the coverage of selected Island slopes around Faial, Graciosa, Terceira and Pico Islands. We successfully accomplished nearly all our objectives in each one of the areas re-visited and were also able to explore the Vasco Gil seamount for the first time.
  3. For the third consecutive year of the MapGES survey onboard the MT Physeter, no Azor drift-cam structures were lost, despite that we were challenged by an entanglement on a lost fishing line, the unexpected encounter of the largest basaltic wall recorded with the Azor drift-cam dive (around 300m high) and an incident where the umbilical cable became entangled in the vessel’s propeller.
  4. As one of our key objectives this year was to explore deeper strata previously unsampled in certain areas, the drift-cam was repeatedly deployed at depths exceeding 900 m and performed outstandingly with minimal issues across all components.
  5. Ilha Azul E exhibited impressive and extensive aggregations of the primnoid corals Narella versluysi and N. bellissima.
  6. Exploration of several areas East of Terceira Island continues to reveal interesting communities. Notably, large specimens of the octocoral Callogorgia verticillata and large black corals Leiopathes expansa were observed in the Maçarico area and Beirada de Fora areas, respectively.
  7. The first exploration of Vasco Gil seamount revealed large black corals Antipathes dichotoma.
  8. Remarkable geological features were observed across the surveyed areas: around the Vasco Gil seamount a heterogenous seafloor composed of contrasting black and white rock types suggests a complex geological origin in this geomorphological structure. Interesting geological patterns of the seafloor was sighted in Ilha Azul E and Beirada de Fora areas, where evidence of ancient stratification was recorded.
  9. A deceased undetermined shark was observed on a sandy bottom in Graciosa S area, probably resulting from fisheries discards. This marks the first recorded shark carcass during an Azor drift-cam deployment. The rarity of such observations rise questions about the visibility and persistence of large organic falls in deep-sea environments.
  10. An incredible and most likely record-breaking aggregation of anguilliform fishes Halosauridae was recorded at approximately 900 m depth in the southern area of Graciosa Island.
  11. An unusually high number of angler fish (Lophius piscatorius) was repeatedly observed along the slopes of Graciosa Island.
  12. The decapod Cancer bellianus was observed on top of the vase-shaped Characella pachastrelloides while holding another sponge. This behaviour is likely uncommon for this species of crustacean.
Show less ↑
Show more ↓

Location of operation

Faial N, Graciosa NE and S, Vasco Gil N, Ilha Azul E, Terceira E, Beirada de Fora, Maçarico, João de Melo and Pico NW.

AZORES DEEP-SEA RESEARCH © CRUISES

Stations

MapGES 2025 MT Physeter

Leg Period Days at sea Vessel Departure Return
1 04/06/2025 - 04/06/2025 1 MT Physeter Horta Horta
2 21/06/2025 - 01/07/2025 11 MT Physeter Horta Horta
3 25/07/2025 - 25/07/2025 1 MT Physeter Horta Horta

A total of 13 days at sea

Activities

Video survey (Azor drift-cam)
MapGES 2025 Cruise Report: Exploration and mapping of deep-sea biodiversity in the Azores on board the MT Physeter
Zenodo
|
Sep, 2025
11 team members are authors
OA DOI 10.5281/ZENODO.17224667
Abstract
Main objectives: MapGES 2025 continues our longstanding commitment to map deep-sea biodiversity and identifying Vulnerable Marine Ecosystems (VMEs) in the Azores with the Azor drift-cam imagery system. Our 2025 expedition aimed to enhance the data collected in previous surveys by conducting new video transects along the slopes of several islands in the archipelago, including Faial, Pico, Graciosa and Terceira. This fieldwork focused mostly on under-sampled areas and deeper strata. Additionally, we planned to explore one new area, specifically Vasco Gil seamount. Our ultimate goal is to achieve a comprehensive understanding of the deep-sea fauna dwelling on the slopes, banks, and seamounts in these areas. Like previous MapGES cruises, our objectives included: (i) mapping benthic communities in previously unexplored seamounts, ridges, and island slopes; (ii) identifying new areas that meet the FAO definition of Vulnerable Marine Ecosystems; and (iii) determining the distribution patterns of deep-sea benthic biodiversity in the Azores. The results of this cruise added to the previous contributions to identify the environmental drivers that determine the spatial distribution of deep-sea benthic biodiversity in the Azores. It also provides valuable information in the context of Good Environmental Status (GES), Marine Spatial Planning (MSP) and new insights on how to sustainably manage deep-sea ecosystems. Methodology: We conducted several underwater video transects along the seafloor using the Azor drift-cam, a cost-effective drifting camera system developed by IMAR and Okeanos at the University of the Azores. This system is capable of recording high-quality underwater video images of the seabed, and it was deployed from the MT Physeter. This year, the operation capabilities of the Azor drift-cam was expanded to ~1500 m depth. In each sampling area, we performed a representative number of dives using the video system, ranging from approximately 1200 m to the shallowest point of each structure. The objective was to capture underwater images that would effectively characterize the biodiversity across the entire bathymetric gradient and various substrate types. The video transects were strategically planned based on the most accurate bathymetric data available, allowing the camera system to drift from deeper to shallower regions. This methodology was designed to ensure optimal image quality by maximizing light incidence and minimizing attenuation in the water column, a challenge typically encountered during descending transects. Each transect with the Azor drift-cam was planned for approximately 60 to 120 minutes on the seafloor, with the system drifting over benthic habitats at an average speed of 0.5 to 1 knot. Under favourable conditions, each working day facilitated 3 to 5 dives, corresponding to approximately 5 kilometres of seafloor explored daily. Cruise summary: The MapGES 2025 cruise aboard MT Physeter consisted of 1 leg, divided in 3 parts, aimed at exploring and revisiting slopes, banks, ridges, and seamounts surrounding Faial, Pico, Graciosa and Terceira Islands. A total of 40 successful dives were conducted out of 41 planned, covering 11 sampling areas. During Leg 1a, on the 4th of June, we performed 2 successful dives with the Azor drift-cam. These first deployments surveyed the deep-sea benthic communities dwelling on the slopes of the geomorphological structures on the north flank of Faial Island. These first dives were also a practical test to experience some add-ons on our structure, such as the external feeding of the GoPro camera, the implementation of a second spotlight, the use of a 1500m umbilical cable and the USBL system. During the Leg 1b, from 21st June to 1st of July, we performed 35 successful dives with the Azor drift-cam around Graciosa and Terceira Island slopes and some adjacent geomorphological structures such as Vasco Gil, Ilha Azul E and João de Melo. Several deep dives (>1000 m) were performed during this leg with no major problems across the components of the drift-cam. During the Leg1c, on the 25th of July, we performed 3 successful dives with the Azor drift-cam on the deeper sectors of the NW slopes in Pico Island. During this year’s survey we observed diverse benthic and fish communities, from which we may highlight impressive and extensive aggregations of the primnoid corals Narella versluysi and N. bellissima, in Ilha Azul E, the notably large specimens of the octocoral Callogorgia verticillata, in Maçarico, the black corals Leiopathes expansa, in Beirada de Fora, and Antipathes dichotoma, in Vasco Gil. Also, an incredible and most likely record-breaking aggregation of anguilliform fishes Halosauridae was recorded at approximately 900 m depth in Graciosa S area. Main achievements: During the MapGES 2025 survey conducted aboard the MT Physeter, 41 stations were completed using the Azor drift-cam. The stations spanned depths ranging from 205 to 1130 m, encompassing a broad spectrum of marine strata. The survey covered approximately 31 km of the seafloor and generated more than 49 hours of video footage for analysis. These numbers represent a big achievement considering that we successfully operated, once again, the Azor drift-cam for deep-sea exploration on board a small vessel and this year with several improvements on our system including an umbilical cable of 1500m, the underwater positioning system (USBL), the external power feeding of the GoPro camera and the addition of a second spotlight. This year’s survey aimed to complete the coverage of selected Island slopes around Faial, Graciosa, Terceira and Pico Islands. We successfully accomplished nearly all our objectives in each one of the areas re-visited and were also able to explore the Vasco Gil seamount for the first time. For the third consecutive year of the MapGES survey onboard the MT Physeter, no Azor drift-cam structures were lost, despite that we were challenged by an entanglement on a lost fishing line, the unexpected encounter of the largest basaltic wall recorded with the Azor drift-cam dive (around 300m high) and an incident where the umbilical cable became entangled in the vessel’s propeller. As one of our key objectives this year was to explore deeper strata previously unsampled in certain areas, the drift-cam was repeatedly deployed at depths exceeding 900 m and performed outstandingly with minimal issues across all components. Ilha Azul E exhibited impressive and extensive aggregations of the primnoid corals Narella versluysi and N. bellissima. Exploration of several areas East of Terceira Island continue to reveal interesting communities. Notably, large specimens of the octocoral Callogorgia verticillata and large black corals Leiopathes expansa were observed in the Maçarico area and Beirada de Fora areas, respectively. The first exploration of Vasco Gil seamount revealed large black corals Antipathes dichotoma. Remarkable geological features were observed across the surveyed areas: around the Vasco Gil seamount a heterogenous seafloor composed of contrasting black and white rock types suggests a complex geological origin in this geomorphological structure. Interesting geological patterns of the seafloor was sighted in Ilha Azul E and Beirada de Fora areas, where evidence of ancient stratification was recorded. A deceased undetermined shark was observed on a sandy bottom in Graciosa S area, probably resulting from fisheries discards. This marks the first recorded shark carcass during an Azor drift-cam deployment. The rarity of such observations rise questions about the visibility and persistence of large organic falls in deep-sea environments. An incredible and most likely record-breaking aggregation of anguilliform fishes Halosauridae was recorded at approximately 900 m depth in the southern area of Graciosa Island. An unusually high number of angler fish (Lophius piscatorius) was repeatedly observed along the slopes of Graciosa Island. The decapod Cancer bellianus was observed on top of the vase-shaped Characella pachastrelloides while holding another sponge. This behaviour is likely uncommon for this species of crustacean.
North Atlantic basin-scale multi-criteria assessment database to inform management recommendations to protect Vulnerable Marine Ecosystems
Nov, 2020
7 team members are authors
OA DOI 10.5281/zenodo.4279776
Authors 10.5281/zenodo.4279776
Telmo Morato
Christopher K. Pham
Laurence Fauconnet
Gerald H. Taranto
Giovanni Chimienti Erik E. Cordes
Carlos Dominguez‐Carrió
P. Durán-Muñoz Hrönn Egilsdóttir José Manuel González‐Irusta Anthony Grehan Dierk Hebbeln Lea‐Anne Henry Georgios Kazanidis Ellen Kenchington Lénàïck Menot Tina N. Molodtsova Covadonga Orejas Berta Ramiro‐Sánchez
Manuela Ramos
Luís Rodrigues
Steve W. Ross José L. Rueda M.m. Sacau-Cuadrado David Stirling
Marina Carreiro‐Silva
Abstract
We applied the International Council for the Exploration of the Sea (ICES) multi criteria assessment (MCA) method for identifying VMEs in the North-East Atlantic (ICES, 2016a,b; Morato et al., 2018) from ATLAS VME database to provide the first North Atlantic Ocean basin-scale VME assessment. This MCA is a taxa-dependent spatial method that incorporates the fact that not all VME indicators have the same vulnerability to human impacts, and thus should not be weighted equally. By including a measure of the confidence associated with each VME record, this methodology also considers some of the uncertainties associated with the sampling methodologies, the reported taxonomy, and data quality issues. Equally important, this dataset highlights areas in the North Atlantic that have been poorly sampled and that require further attention. Finally, this methodology also allows for the evaluation and comparison of the VME likelihood with spatial fisheries data that may directly generate significant adverse impacts on VMEs. In the data report, we made the “North Atlantic basin-scale VME index dataset” publicly, thus allowing its consultation and use by scientists, managers, or other relevant stakeholders.
GIS layers of seafloor characteristics in the Azores region (North Atlantic), links to files in ArcGIS format
Jan, 2016
1 team member is author
OA Citations 1 DOI 10.1594/pangaea.862152
Authors 10.1594/pangaea.862152
Antonio David Perán Miñarro Christopher K. Pham Patrícia Amorim Frederico Cardigos Fernando Tempera
Telmo Morato
Abstract
Current European legislation such as the Marine Strategy Framework Directive (MSFD; 2008/56/EC) has highlighted the need for accurate maps on the geomorphology of Europe's maritime territory. Such information is notably essential for the production of habitat maps and cumulative impact assessments of human activities (Halpern et al., 2008) necessary for marine spatial planning initiatives (Gilliland and Laffoley, 2008) and assessments of the representativity/sufficiency of marine protected areas networks like Natura 2000. Broadscale satellite bathymetry presently allows the identification of all prominent geomorphic structures present on the seafloor with a high grade of accuracy. However, these datasets and maps still need to be more widely disseminated in the scientific community.In this contribution, we provide an inventory of some important datasets related to the physical characteristics of the seafloor surrounding the Azores Archipelago. The objective is to ensure that our compilation is readily available for any researchers interested in developing species distribution models, or for the management and conservation of natural resources in the region.
Ocean climatology in the Azores region (North Atlantic) and seabed characteristics, links to GIS layers in ArcGIS format
Jan, 2017
1 team member is author
OA DOI 10.1594/pangaea.872601
Authors 10.1594/pangaea.872601
Patrícia Amorim António D. Perán Christopher K. Pham Manuela Juliano Frederico Cardigos Fernando Tempera
Telmo Morato
Abstract
Obtaining a comprehensive knowledge of the spatial and temporal variations of the environmental factors characterizing the Azores region is essential for conservation and management purposes. Although many studies are available for the region, there is a need for a general overview of the best available information. Here, we assembled a comprehensive collection of environmental data for this region. Data sources used in this study included remote sensing oceanographic data for 2003?2013 (sea surface temperature, chlorophyll-a concentration, particulate inorganic carbon (PIC), and particulate organic carbon (POC)), derived oceanographic data (primary productivity and North Atlantic oscillation index) for 2003?2013, and in situ data (temperature, salinity, oxygen, phosphate, nitrate and silicate) obtained from the World Ocean Atlas 2013.
Climate-induced changes in the suitable habitat of cold-water corals and commercially important deep-sea fishes in the North Atlantic
Jan, 2019
3 team members are authors
OA Citations 2 DOI 10.1594/pangaea.910319
Authors 10.1594/pangaea.910319
Morato, Telmo
González-Irusta, José Manuel Domínguez-Carrió, Carlos Wei, C Davies, A Sweetman, Andrew K
Taranto, A H
Beazley, Lindsay García-Alegre, A Grehan, Anthony J Laffargue, P Javier Murillo, F Sacau, M Vaz, S Kenchington, Ellen L Arnaud-Haond, Sophie Callery, Oisín Chimienti, G Cordes, E Egilsdottir, Hronn Freiwald, André Gasbarro, R Gutierrez-Zárate, C Gianni, M Gilkinson, Kent Wareham Hayes, V E Hebbeln, Dierk Hedges, K Henry, Lea Anne Johnson, Devin S Koen-Alonso, M Lirette, C Mastrototaro, F Menot, Lenaick Molodtsova, Tina Durán Muñoz, P Orejas, Covadonga Pennino, Maria Grazia Puerta, P Ragnarsson, Stefan Aki Ramiro-Sánchez, Berta Rice, J Rivera, Jaime Roberts, J Murray Ross, Steve W Rueda, José Luis Sampaio, Íris Snelgrove, Paul V R Stirling, David Treble, M A Urra, Javier Vad, Johanne Van Oevelen, Dick Watling, L Walkusz, Wojciech Wienberg, Claudia Woillez, M Levin, L A
Carreiro-Silva, Marina
Abstract
We used environmental niche modelling along with the best available species occurrence data and environmental parameters to model habitat suitability for key cold-water coral and commercially important deep-sea fish species under present-day (1951-2000) environmental conditions and to forecast changes under severe, high emissions future (2081-2100) climate projections (RCP8.5 scenario) for the North Atlantic Ocean (from 18°N to 76°N and 36°E to 98°W). The VME indicator taxa included Lophelia pertusa , Madrepora oculata, Desmophyllum dianthus, Acanela arbuscula, Acanthogorgia armata, and Paragorgia arborea. The six deep-sea fish species selected were: Coryphaenoides rupestris, Gadus morhua, blackbelly Helicolenus dactylopterus, Hippoglossoides platessoides, Reinhardtius hippoglossoides, and Sebastes mentella. We used an ensemble modelling approach employing three widely-used modelling methods: the Maxent maximum entropy model, Generalized Additive Models, and Random Forest. This dataset contains: 1) Predicted habitat suitability index under present-day (1951-2000) and future (2081-2100; RCP8.5) environmental conditions for twelve deep-sea species in the North Atlantic Ocean, using an ensemble modelling approach. 2) Climate-induced changes in the suitable habitat of twelve deep-sea species in the North Atlantic Ocean, as determined by binary maps built with an ensemble modelling approach and the 10-percentile training presence logistic (10th percentile) threshold. 3) Forecasted present-day suitable habitat loss (value=-1), gain (value=1), and acting as climate refugia (value=2) areas under future (2081-2100; RCP8.5) environmental conditions for twelve deep-sea species in the North Atlantic Ocean. Areas were identified from binary maps built with an ensemble modelling approach and two thresholds: 10-percentile training presence logistic threshold (10th percentile) and maximum sensitivity and specificity (MSS). Refugia areas are those areas predicted as suitable both under present-day and future conditions. All predictions were projected with the Albers equal-area conical projection centred in the middle of the study area. The grid cell resolution is of 3x3 km.
Compilation of records of vulnerable marine ecosystem indicator taxa in the North Atlantic
Jan, 2020
3 team members are authors
OA DOI 10.1594/pangaea.920658
Authors 10.1594/pangaea.920658
Ramiro-Sánchez, Berta Henry, Lea-Anne
Morato, Telmo
Taranto, Gerald
Cleland, Jason
Carreiro-Silva, Marina
Sampaio, Íris Domínguez-Carrió, Carlos Messing, Charles G Kenchington, Ellen L Murton, Bramley Roberts, J Murray
Abstract
Obtaining a comprehensive knowledge of the spatial variation of deep-sea benthic ecosystems is essential for conservation and management purposes. Here we assembled publicly available information on the positions of vulnerable marine ecosystem indicator species from public databases (OBIS, NOAA and ICES), the published literature and from focused efforts from the Logachev Mounds (NE Atlantic), Tropic Seamount (NE tropical Atlantic) and Bermuda for depths below 200 m. Taxa included hexacorals, octocorals, hydroids, sponges, hydrothermal vents associated species (bivalves, decapods), crinoids and xenophyophores.
Set of terrain (static in time) and environmental (dynamic in time) variables used as candidate predictors of present-day (1951-2000) and future (2081-2100) suitable habitat of cold-water corals and deep-sea fishes in the North Atlantic
Jan, 2020
2 team members are authors
OA Citations 6 DOI 10.1594/pangaea.911117
Authors 10.1594/pangaea.911117
Chih‐Lin Wei José Manuel González‐Irusta
Carlos Dominguez‐Carrió
Telmo Morato
Abstract
We used environmental niche modelling along with the best available species occurrence data and environmental parameters to model habitat suitability for key cold-water coral and commercially important deep-sea fish species under present-day (1951-2000) environmental conditions and to forecast changes under severe, high emissions future (2081-2100) climate projections (RCP8.5 scenario) for the North Atlantic Ocean (from 18°N to 76°N and 36°E to 98°W). This dataset contains a set of terrain (static in time) and environmental (dynamic in time) variables were used as candidate predictors of present-day (1951-2000) distribution and to forecast future (2081-2100) changes. All predictor variables were projected with the Albers equal-area conical projection centred in the middle of the study area. The terrain variable depth was extracted from a bathymetry grid built from two data sources: the EMODnet Digital Terrain Model (EMODnet, 2018) and the General Bathymetric Chart of the Oceans (GEBCO 2014; Weatherall et al., 2015). Slope (in degrees) was derived from the final bathymetry grid using the Raster package in R (Hijmans, 2016) and the Bathymetric Position Index (BPI) was computed using the Benthic Terrain Model 3.0 tool in ArcGIS 10.1 with an inner radius of 3 and an outer radius of 25 grid cells. In order to avoid extreme values, BPI was standardized using the scale function from the Raster package. Environmental variables of present-day and future conditions, including particulate organic carbon (POC) flux at 100-m depth (epc100, mg C m-2 d-1), bottom water dissolved oxygen concentration (µmol kg-1), pH, and potential temperature (°K) were downloaded from the Earth System Grid Federation (ESGF) Peer-to-Peer (P2P) enterprise system. The epc100 was converted to export POC flux at the seafloor using the Martin curve (Martin, Knauer, Karl, & Broenkow, 1987) following the equation: epc = epc100*(water depth/export depth)-0.858, and setting the export depth to 100 m. Near seafloor aragonite (Ωar) and calcite (Ωcal) saturation were also used as candidate predictors for habitat suitability of cold-water coral species. These saturation states were computed by dividing the bottom water carbonate ion concentration (mol m-3) by the bottom water carbonate ion concentration (mol m-3) for seawater in equilibrium with pure aragonite and calcite. Yearly means of these parameters were calculated for the periods 1951-2000 (historical simulation) and 2081-2100 (RCP8.5 or business-as-usual scenario) using the average values obtained from the Geophysical Fluid Dynamics Laboratory's ESM 2G model (GFDL-ESM-2G; Dunne et al., 2012), the Institut Pierre Simon Laplace's CM6-MR model (IPSL-CM5A-MR; Dufresne et al., 2013) and Max Planck Institute's ESM-MR model (MPI-ESM-MR; Giorgetta et al., 2013) within the Coupled Models Intercomparison Project Phase 5 (CMIP5) for each grid cell of the present study area.
Blue Azores Program Expedition 2018, Station 57, Dive 15: annotation of Paragorgia johnsoni Gray, 1862
Apr, 2021
6 team members are authors
OA Citations 1 DOI 10.5281/zenodo.4727164
Abstract
Annotation of Paragorgia johnsoni Gray, 1862 colonies from underwater video footage recorded during the Blue Azores 2018 Expedition with the ROV Luso onboard the NRP Almirante Gago Coutinho, Station 57, Dive 15 (June 23rd, 2018). The images correspond to the octocoral garden discovered between 545 and 595 m depth on the slopes of a small ridge-like structure located on the Mid-Atlantic Ridge, in the Azores region.
Outputs of predictive distribution models of deep-sea elasmobranchs in the Azores EEZ (down to 2,000m depth) using Generalized Additive Models
Jan, 2022
3 team members are authors
OA DOI 10.1594/pangaea.940808
Authors 10.1594/pangaea.940808
González-Irusta, José Manuel
Fauconnet, Laurence
Das, Diya Catarino, Diana Afonso, Pedro Viegas, Cláudia Neto
Rodrigues, Luís
Menezes, Gui M Rosa, Alexandra Pinho, Mário Rui Rilhó Silva, Hélder Marques Da Giacomello, Eva
Morato, Telmo
Abstract
Description: We developed predictive distribution models of deep-sea elasmobranchs for up to 2000 m depth in the Azores EEZ and neighboring seamounts, from approximately 33°N to 43°N and 20°W to 36°W. Georeferenced presence, absence, and abundance data were obtained from scientific surveys and commercial operations reporting at least one deep-sea elasmobranch capture. A 20-year 'survey dataset' (1996-2017) was compiled from annual scientific demersal surveys using two types of bottom longlines (types LLA and LLB), and an 'observer dataset' (2004-2018) from observer programs covering commercial fisheries operations using bottom longline (similar to type LLA) and vertical handline ('gorazeira'). We used the most ecologically relevant candidate environmental predictors for explaining the spatial distribution of deep-sea elasmobranch in the Azores: depth, slope, northness, eastness, Bathymetric Position Index (BPI), nitrates, and near bottom currents. We merged existing multibeam data for the Azores EEZ with bathymetry data extracted from EMODNET (EMODnet Bathymetry Consortium 2018) to calculate depth values (down to 2000m). All variables were projected with the Albers equal-area conical projection centered in the middle of the study area and were rescaled using bilinear interpolation to a final grid cell resolution of 1.12 x1.12 km (i.e., 0.012°). Slope, northness, and eastness were computed from the depth raster using the function terrain in the R package raster. BPI was derived from the rescaled depth with an inner radius of 3 and an outer radius of 25 grid cells using the Benthic Terrain Model 3.0 tool in ArcGIS 10.1. Nitrates were extracted from Amorim et al. (2017). Near-bottom current speed (m·s-1) average values were based on a MOHID hydrodynamic model application (Viegas et al., 2018) with an original resolution of 0.054°. Besides the environmental variables, we also included three operational predictors in the analysis: year, fishing effort (number of hooks) and gear type (longline LLA and LLB, and gorazeira).
Democratizing deep-sea research for biodiversity conservation
Trends in Ecology & Evolution
|
Oct, 2025
11 team members are authors
Deep-sea ecosystems of the North Atlantic Ocean: discovery, status, function and future challenges
Deep Sea Research Part I Oceanographic Research Papers
|
Aug, 2025
1 team member is author
Authors 10.1016/j.dsr.2025.104580
A. Louise Allcock Diva J. Amon Amelia E.h. Bridges Ana Colaço Elva Escobar‐Briones Ana Hilário Kerry L. Howell Nélia C. Mestre Frank Müller‐Karger Imants G. Priede Paul V. R. Snelgrove Kathleen Sullivan Sealey Joana R. Xavier Anna M. Addamo Teresa Amaro Geethani Bandara Narissa Bax Andreia Braga‐Henriques Angelika Brandt Saskia Brix Sergio Cambronero‐Solano Cristina Cedeño – Posso Jon Copley Erik E. Cordes Jorge Cortés Aldo Cróquer Daphné Cuvelier Jaime S. Davies Jennifer M. Durden Patricia Esquete Nicola L. Foster Inmaculada Frutos Ryan Gasbarro Andrew R. Gates Marta Gomes Lucy V.m. Goodwin Tammy Horton Thomas F. Hourigan Henk‐Jan Hoving Daniel O. B. Jones Siddhi Joshi Kelly Kingon Anne‐Nina Lörz Ana María Martins Véronique Merten Anna Meta×As Rosanna Milligan Tina N. Molodtsova
Telmo Morato
Declan Morrissey Beatriz Naranjo‐Elizondo Bhavani E. Narayanaswamy Steinunn H. Ólafsdóttir Alexa Parimbelli Marian Peña Nils Piechaud Stefan Ragnarsson Sofia P. Ramalho Clara F. Rodrigues Rebecca E. Ross Hanieh Saeedi Régis Santos Patrick Schwing Tiago Da Rosa Serpa Arvind K. Shantharam Angela Stevenson Ana Belén Yánez-Suárez Tracey Sutton Jörundur Svavarsson Michelle L. Taylor Jesse Van Der Grient Nadescha Zwerschke
Assessment tool addresses implementation challenges of ecosystem-based management principles in marine spatial planning processes
Communications Earth & Environment
|
Jan, 2025
1 team member is author
OA Citations 15 Rising DOI 10.1038/s43247-024-01975-7
Authors 10.1038/s43247-024-01975-7
Ibon Galparsoro Natalia Montero Gotzon Mandiola Iratxe Menchaca Ángel Borja Wesley Flannery Stelios Katsanevakis Simonetta Fraschetti Erika Fabbrizzi Michael Elliott María Bas Steve Barnard G.j. Piet Sylvaine Giakoumi Maren Kruse Benedict Mcateer Robert Mzungu Runya Olga Lukyanova
Telmo Morato
Annaïk Van Gerven S. Degraer Stefan Neuenfeldt Vanessa Stelzenmüller
Abstract
Abstract Ecosystem-based marine spatial planning is an approach to managing maritime activities while ensuring human well-being and biodiversity conservation as key pillars for sustainable development. Here, we use a comprehensive literature review and a co-development process with experts to build an assessment framework and tool that integrates the fundamental principles of an ecosystem approach to management and translates them into specific actions to be undertaken during planning processes. We illustrate the potential of this tool through the evaluation of two national marine spatial plans (Spain and France), in consultation with the representatives involved in their development and implementation. To ensure more coherent future planning, socio-ecological system evolution in a climate change scenario and the future marine space needs of maritime sectors should be considered, as well as improving the governance structure and knowledge of ecosystem processes. This framework provides a consistent and transparent assessment method for practitioners and competent authorities.
Drivers of trophodynamics of the open-ocean and deep-sea environments of the Azores, NE Atlantic
Progress In Oceanography
|
Sep, 2024
3 team members are authors
Authors 10.1016/j.pocean.2024.103357
Joana Brito
Ambre Soszynski Johanna J. Heymans Simone Libralato Eva Giacomello
Laurence Fauconnet
Gui M. Menezes
Telmo Morato
Spatial distributions, environmental drivers and co-existence patterns of key cold-water corals in the deep sea of the Azores (NE Atlantic)
Deep Sea Research Part I Oceanographic Research Papers
|
Mar, 2023
6 team members are authors
OA Citations 19 Rising DOI 10.1016/j.dsr.2023.104028
Authors 10.1016/j.dsr.2023.104028
Development of a sensitive detection method to survey pelagic biodiversity using eDNA and quantitative PCR: a case study of devil ray at seamounts
Marine Biology
|
Apr, 2017
1 team member is author
OA Citations 60 DOI 10.1007/s00227-017-3141-x
Authors 10.1007/s00227-017-3141-x
Laura Gargan
Telmo Morato
Christopher K. Pham John A. Finarelli Jeanette E. L. Carlsson Jens Carlsson
A Multi Criteria Assessment Method for Identifying Vulnerable Marine Ecosystems in the North-East Atlantic
Frontiers in Marine Science
|
Dec, 2018
1 team member is author
OA Citations 60 Rising DOI 10.3389/fmars.2018.00460
Authors 10.3389/fmars.2018.00460
Telmo Morato
Christopher K. Pham Carlos Pinto Neil Golding Jeff Ardron P. Durán-Muñoz Francis Neat
Abstract
<p>In international fisheries management, scientific advice on the presence of "vulnerable marine ecosystems" (VMEs) per United Nations resolutions, has generally used qualitative assessments based on expert judgment of the occurrence of indicator taxa such as cold-water corals and sponges. Use of expert judgment alone can be criticized for inconsistency and sometimes a lack of transparency; therefore, development of robust and repeatable numeric methods to detect the presence of VMEs would be advantageous. Here, we present a multi-criteria assessment (MCA) method to evaluate how likely a given area of seafloor represents a VME. The MCA is a taxa-dependent spatial method that accounts for both the quantity and data quality available. This was applied to a database of records of VMEs built, held and compiled by the International Council for the Exploration of the Sea (ICES). A VME index was generated which ranged from 1.51 to 4.52, with 5.0 being reserved for confirmed VME habitats. An index of confidence was also computed that ranged from 0.0 to 0.75, with 1 being reserved for those confirmed VME habitats. Overall the MCA captured the important elements of the ICES VME database and provided a simplified, spatially aggregated, and weighted estimate of how likely a given area is to contain VMEs. The associated estimate of confidence gave an indication of how uncertain that assessment was for the same given area. This methodology provides a more systematic and standardized approach for assessing the likelihood of presence of VMEs in the North-East Atlantic.</p>
Editorial: The Azores Marine Ecosystem: An Open Window Into North Atlantic Open Ocean and Deep-Sea Environments
Frontiers in Marine Science
|
Oct, 2020
1 team member is author
OA Citations 6 DOI 10.3389/fmars.2020.601798
Authors 10.3389/fmars.2020.601798
Telmo Morato
Pedro Afonso Gui M. Menezes Ricardo S. Santos Mónica A. Silva
Abstract
EDITORIAL article Front. Mar. Sci., 30 October 2020 | https://doi.org/10.3389/fmars.2020.601798
Systematic evaluation of a spatially explicit ecosystem model to inform area-based management in the deep-sea
Ocean & Coastal Management
|
Aug, 2023
2 team members are authors
Authors 10.1016/j.ocecoaman.2023.106807
Joana Brito
Ambre Soszynski Christopher K. Pham Eva Giacomello Gui M. Menezes Jeroen Steenbeek David Chagaris
Telmo Morato
Distribution models of deep-sea elasmobranchs in the Azores, Mid-Atlantic Ridge, to inform spatial planning
Deep Sea Research Part I Oceanographic Research Papers
|
Feb, 2022
3 team members are authors
Citations 20 Rising DOI 10.1016/j.dsr.2022.103707
Authors 10.1016/j.dsr.2022.103707
Diya Das José Manuel González‐Irusta
Telmo Morato
Laurence Fauconnet
Diana Catarino Pedro Afonso Cláudia Viegas
Luís Rodrigues
Gui M. Menezes Alexandra Rosa Mário Pinho Helder Marques Da Silva Eva Giacomello
A cost‐effective video system for a rapid appraisal of deep‐sea benthic habitats: The Azor drift‐cam
Methods in Ecology and Evolution
|
Apr, 2021
2 team members are authors
OA Citations 37 DOI 10.1111/2041-210x.13617
Authors 10.1111/2041-210x.13617
Abstract
Abstract Deep‐sea exploration relies on cutting‐edge technology, which generally requires expensive instruments, highly specialized technicians and ship time. The increasing need to gather large‐scale data on the distribution and conservation status of deep‐sea benthic species and habitats could benefit from the availability of low‐cost imaging tools to facilitate the access to the deep sea world‐wide. Here we describe the Azor drift‐cam, a cost‐effective video platform designed to conduct rapid appraisals of deep‐sea benthic habitats. Built with off‐the‐shelf components, the Azor drift‐cam should be regarded as an effective, affordable, simple‐to‐assemble, easy‐to‐operate, resilient, operational and reliable tool to visually explore the deep sea to 1,000 m depth. Its performance was assessed during the MapGES_2019 cruise, where 135 successful dives between 100 and 800 m depth were carried out in 22 working days, providing over 100 hr of images for almost 80 km of seabed, mostly in areas that had never been explored before. The system does not aim to become a substitute for more sophisticated underwater video and photography platforms, such as ROVs, AUVs or manned submersibles. Rather, it aims to provide the means to perform quick assessments of deep‐sea benthic habitats in a simple and affordable manner. This drift‐cam system has the potential to make deep‐sea exploration more accessible, playing an important role in the Deep‐Ocean Observing Strategy and measuring some of the Essential Ocean Variables for deep‐sea monitoring and conservation strategies.
Predicting the distribution and abundance of abandoned, lost or discarded fishing gear (ALDFG) in the deep sea of the Azores (North Atlantic)
The Science of The Total Environment
|
Aug, 2023
8 team members are authors
OA Citations 18 Rising DOI 10.1016/j.scitotenv.2023.166579
Authors 10.1016/j.scitotenv.2023.166579
Emily M. Duncan Nina Vieira José Manuel González‐Irusta
Carlos Dominguez‐Carrió
Telmo Morato
Marina Carreiro‐Silva
Joachim Jakobsen Kirsten Jakobsen
Filipe M. Porteiro
Nina Schläpfer Laura Herrera
Manuela Ramos
Yasmina Rodríguez
João Pereira
Laurence Fauconnet
Luís Rodrigues
Hugo Parra Christopher K. Pham

Follow us on social media to stay updated

Location

Institute of Marine Sciences — Okeanos, University of the Azores

Departamento de Oceanografia e Pescas — Universidade dos Açores

Rua Prof. Doutor Frederico Machado, No. 4
9901-862 Horta, Portugal

Contact

FOLLOW US
ADSR

AZORES DEEP-SEA RESEARCH © 2020-2026 — RELEASE 2.1

Developed by Valter Medeiros VALTER MEDEIROS