Loading…

MapGES 2025 RV Arquipélago

Mapping deep-sea biodiversity and “Good Environmental Status” in the Azores

MapGES 2025 RV Arquipélago

Loading cruise data…

Mapping deep-sea biodiversity and “Good Environmental Status” in the Azores

Location: Pico Sul, Mar da Prata S, Heitor Àlvares, Alcatraz, Dom João de Castro, Ferradura E, Beta, Beta W, Buchanan N, Fantas, A13, Menez Gwen, Picoto, Alfa profundo, Alfa, Alfa E.

Year: 2025

55 stations

55 dives

1836 km transits

16 areas visited

AZORES DEEP-SEA RESEARCH

Summary

Mapping deep-sea biodiversity and “Good Environmental Status” in the Azores

The MapGES 2025 cruise aboard RV Arquipélago consisted of 2 legs and aimed at exploring and revisiting banks, ridges, and seamounts on the south limit of the EEZ of the Azores, south of São Miguel in Mar da Prata, East of Terceira Island and in the Mid-Atlantic ridge. We spent only 16 full workdays at sea, compared to the 34 initially planned, which forced us to reprioritize and exclude several objectives. Exploration of seamounts along the Mid-Atlantic ridge and additional areas around Pico and São Miguel had to be cancelled, reducing the cruise’s scope. Further delays arose from technical and mechanical issues beyond the team’s control. A total of 55 successful dives were conducted out of 56 planned, covering 16 sampling areas. During Leg 1, from the 16th to 24th of August, we performed 23 successful dives with the Azor drift-cam. These first deployments surveyed the deep-sea benthic communities dwelling on the slopes of the geomorphological structures at the southern limit of the EEZ (Pico Sul), in the southern area of Mar da Prata and in structures located east of Terceira Island (Heitor Álvares, Alcatraz and Dom João de Castro). This first leg aimed to complete surveys in areas long on our priority list, while also exploring two previously unsampled sites: Pico Sul, located about 230 nm south of Faial Island, and Heitor Álvares. During Leg 2, from 27th August to 5th September, a total of 32 successful dives were conducted with the Azor drift-cam. This Leg aimed at exploring seamounts along the Mid-Atlantic ridge and adjacent areas, some visited for the first time, others revisited to complement earlier surveys. A major objective of this year’s cruise was to assess potential faunal differences between an isolated, deep seamount (Pico Sul) and other sites already studied. Fauna at Pico Sul proved sparse and of low density. By contrast, the eastern peaks of the Alcatraz structure hosted particularly interesting assemblages, with several individuals of the black coral Leiopathes expansa, the rarely recorded glass sponge Asconema cf. setubalense, and multiple specimens of the sponge Hertwigia falcifera. Similar to recent observations from the northern Mar da Prata sectors, assemblages of a seemingly shallow morphotype of Candidella imbricata were recorded, possibly indicating a wide distribution of this species across the entire geomorphological complex. The shallow dives conducted in Dom João de Castro showed extensive and dense coral gardens essentially composed by Viminella flagellum, Dentomuricea aff. meteor and Callogorgia verticillata. We also explored and revisited several Azorean seamounts along the Mid-Atlantic Ridge, documenting unexpected biodiversity and novel records for us. At Ferradura E, we recorded one of the densest aggregations of Hertwigia falcifera recorded in the region and vast ridges dominated by Narella spp. with frequent colonies of black corals Leiopathes expansa. At the newly named Fantas seamount, we observed a possible first Azorean record of a Mid-Atlantic skate Rajella cf. kukujevi. At Menez Gwen, long drift-cam transects revealed recent pillow lavas colonized by large Leiopathes expansa and Placogorgia sp. Picoto seamount hosted one of the largest aggregations of Acanella arbuscula and Chrysogorgia sp. recorded in the region, while Alfa seamount hosted impressive Paragorgia johnsoni “forests” and diverse associated fauna.

MapGES 2025 is the continuation of our long-term strategy to map deep-sea biodiversity and identify Vulnerable Marine Ecosystems (VMEs) in the Azores using the Azor drift-cam system. This cruise was the continuation of the collaboration with the Government of the Autonomous Region of the Azores, through the Regional Directorate for Maritime Policies (DRPM) of the Regional Secretariat for Sea and Fisheries (SRMP) and the Gaspar Frutuoso Foundation (FGF). It benefits from funding from the European Union under the operation "ACORES-14-62G4-FEDER-000001 - Filling gaps in the characterization of maritime space", within the scope of the reprogramming of the Azores 2020 Operational Program (PO Açores 2020), by incorporating the Recovery assistance for cohesion and the territories of Europe programme (REACT-EU) and by the European Regional Development Fund (ERDF). In this cruise, we operated, once again, from the RV Arquipélago and planned to visit some unexplored areas on the southern limit of the Azores EEZ, eastern of Terceira Island and along the Mid-Atlantic ridge and adjacent areas, and to expand into deeper waters the previous explorations. During the leg 1 of this cruise we visited the following areas: Pico Sul, Mar da Prata S, Heitor Álvares, Alcatraz and Dom João de Castro. During the leg 2 of this cruise we visited the following areas: Ferradura E, Beta, Beta W, Buchanan N, Fantas, A13, Menez Gwen, Picoto, Alfa profundo, Alfa and Alfa E. As in other MapGES cruises, the objectives were to (i) map benthic communities inhabiting unexplored seamounts, ridges, and island slopes, (ii) identify new areas that fit the FAO Vulnerable Marine Ecosystem definition, and (iii) determine distribution patterns of deep-sea benthic biodiversity in the Azores. The results of this cruise added to the previous contributions to identify the environmental drivers that determine the spatial distribution of deep-sea benthic biodiversity in the Azores. It also provides valuable information in the context of Good Environmental Status (GES), Marine Spatial Planning (MSP) and new insights on how to sustainably manage deep-sea ecosystems.

Show less ↑
Show more ↓

Statistics

Transits
1836 km
Multibeam Bathymetry
km²
Filmed Seabed
45 km
Visited Areas
16
Stations
55
Dives
55
Video Footage Recorded
74 hours
Used Storage
4 Tb
Samples
0

Highlights

  1. During the MapGES 2025 survey conducted aboard the RV Arquipélago, 55 stations were completed using the Azor drift-cam. The performed stations spanned depths ranging from 230 to 1234 m, encompassing a broad spectrum of marine strata. The survey covered approximately 45 km of the seafloor and generated more than 74 hours of video footage for analysis. These numbers represent a big achievement considering that we successfully operated, once again, the Azor drift-cam with several improvements, including an umbilical cable of 1500m, the underwater positioning system (USBL), the external power feeding of the GoPro camera and the addition of a second spotlight.
  2. We visited one of the most isolated and offshore seamounts of the Azores EEZ, Pico Sul. This geomorphological structure is at a total distance of around 230 nm from Faial Island. The transit took more than 27h to reach this area and is among the furthest areas ever explored with the Azor drift-cam.
  3. The deepest and longest dives with the Azor drift-cam were carried out during this year’s survey: the deepest at Pico Sul, largely exceeding 1200 m, the longest in distance at Menez Gwen (~2.6 km), and the longest in terms of duration at Beta, lasting more than 3 hours.
  4. At the newly explored A10 area, our cameras captured a very pale, ghost-like ray that lingered calmly in front of the system. This sighting may represent the first record of the Mid-Atlantic skate (Rajella cf. kukujevi) in the Azores. Inspired by this unusual encounter, the site was renamed “Fantas” seamount, short for Fantasma (“ghost” in Portuguese). The A13 seamount is yet to be renamed.
  5. The deeper strata, including the intermediate and lower slopes of the visited seamounts, harboured lush benthic communities, visibly thriving on the seafloor. The richness, abundance, and environmental conditions of many of these assemblages were unexpected, especially as some areas surveyed in the past revealed substantially poorer megabenthic communities. These observations demonstrate how quickly one’s perception of a seamount’s ecological value can change with a few complementary dives and additional seafloor coverage. They also highlight the importance of systematic and repeated exploration to capture the full extent of habitat diversity, ensuring that future spatial planning and conservation measures are grounded in comprehensive and representative knowledge.
  6. This year’s survey revealed contrasting patterns of benthic diversity, from sparse communities at Pico Sul to notably rich assemblages in other areas. At this isolated seamount, benthic megafaunal assemblages appear limited, with most species occurring solitarily. Such patterns may offer preliminary clues to the structure of communities on deep, isolated seamounts.
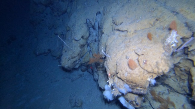
  7. The black coral Leiopathes expansa and the glass sponge Hertwigia falcifera were frequently spotted on the multiple outcrops and overhangs found. During the exploration of Ferradura E area, the deeper sectors revealed unique and localized megabenthic communities usually composed of a large variety of species. We recorded what we think could be one of the densest aggregations of the large yellow hexactinellid Hertwigia falcifera. The increment in the observations of these species can also be influenced by the deeper sectors explored this year.
  8. Thriving benthic fauna was observed on the deep eastern summits of Alcatraz, including a localized patch of the rarely seen glass sponge Asconema cf. setubalense on a basaltic boulder. This was possibly the first record of this species with the Azor drift-cam.
  9. Dense assemblages of a shallow morphotype of Candidella imbricata point to a broad ecological footprint of this primnoid coral within Mar da Prata complex. This interpretation is supported by the remarkable aggregations documented during last year’s survey in Mar da Prata N.
  10. Shallow dives at Dom João de Castro revealed extensive coral gardens dominated by Viminella flagellum, Dentomuricea aff. meteor, and Callogorgia verticillata. Nevertheless, the pervasive presence of lost fishing lines highlights the ongoing human impact on these fragile communities.
  11. In Ferradura E seamount, our cameras documented a vast and dense aggregation of the primnoid corals Narella versluysi and N. bellissima at around 850 m depth, extending along almost an entire ridge. While Narella-dominated communities are common across many Azorean seamounts, the diversity recorded along this ridge surpassed that observed at most comparable depths.
  12. The Menez Gwen area revealed as an enigmatic area. We could not have picked a better spot to perform the longest dive to date with the Azor drift-cam. To start with, the substrate on particular sectors was impressive, with apparently geologically recent pillows with very little to no sediment deposition. In addition to this, scattered along these recent hardgrounds were impressive large-sized colonies of the black coral Leiopathes expansa and of the genus Placogorgia, with occasional lace corals Lophellia pertusa also composing this interesting benthic community.
  13. The deep, wide and long ridge that extends for 15 nm in a south-to-north orientation in Picoto seamount revealed rich megabenthic communities. One of the surveyed sectors revealed a surprisingly diverse megabenthic assemblage, contrasting with the rather modest impression we had while navigating the system in real time. An extensive aggregation of the corals Acanella arbuscula and Chrysogorgia sp. was observed, likely among the largest and densest yet recorded in the Azores.
  14. At Alfa seamount we documented particularly remarkable communities, especially on the shallowest and intermediate slopes surveyed. These sectors hosted a “forest” of massive Paragorgia johnsoni (bubble-gum coral) colonies, exhibiting both morphotypes, but mostly white. These are certainly among the largest examples of this species observed with our camera system to date.
Show less ↑
Show more ↓

Location of operation

Pico Sul, Mar da Prata S, Heitor Àlvares, Alcatraz, Dom João de Castro, Ferradura E, Beta, Beta W, Buchanan N, Fantas, A13, Menez Gwen, Picoto, Alfa profundo, Alfa, Alfa E.

AZORES DEEP-SEA RESEARCH © CRUISES

Stations

MapGES 2025 RV Arquipélago

Leg Period Days at sea Vessel Departure Return
1 16/08/2025 - 24/08/2025 9 RV Arquipelago Horta Horta
2 28/08/2025 - 04/09/2025 8 RV Arquipelago Horta Horta

A total of 17 days at sea

Activities

Video survey (Azor drift-cam)
MapGES 2025 Cruise Report: Exploration and mapping of deep-sea biodiversity in the Azores on board the RV Arquipélago
Zenodo
|
Sep, 2025
10 team members are authors
OA DOI 10.5281/ZENODO.17225533
Abstract
Main objectives: MapGES 2025 continues our longstanding commitment to map deep-sea biodiversity and identifying Vulnerable Marine Ecosystems (VMEs) in the Azores with the Azor drift-cam imagery system. Our 2025 expedition aimed to enhance the data collected in previous surveys by conducting new video transects along seamounts over a widespread area in the Azores archipelago, namely the new area on the southern limit of the EEZ, Pico Sul, seamounts and ridges eastern of Terceira Island and a diversity of sites along the Mid-Atlantic ridge and adjacent areas. This fieldwork focused mostly on under-sampled areas and deeper strata. Our ultimate goal is to achieve a comprehensive understanding of the deep-sea fauna dwelling on the slopes, banks, and seamounts in these areas. Like previous MapGES cruises, our objectives included: (i) mapping benthic communities in previously unexplored seamounts, ridges, and island slopes; (ii) identifying new areas that meet the FAO definition of Vulnerable Marine Ecosystems; and (iii) determining the distribution patterns of deep-sea benthic biodiversity in the Azores. The results of this cruise added to the previous contributions to identify the environmental drivers that determine the spatial distribution of deep-sea benthic biodiversity in the Azores. It also provides valuable information in the context of Good Environmental Status (GES), Marine Spatial Planning (MSP) and new insights on how to sustainably manage deep-sea ecosystems. Methodologies: We conducted several underwater video transects along the seafloor using the Azor drift-cam, a cost-effective drifting camera system developed by IMAR and Okeanos at the University of the Azores. This system is capable of recording high-quality underwater video images of the seabed down to 1200 meters depth, and it was deployed from the RV Arquipélago. In each sampling area, we performed a representative number of dives using the video system, ranging from approximately 1200 m to the shallowest point of each structure. The objective was to capture underwater images that would effectively characterize the biodiversity across the entire bathymetric gradient and various substrate types. The video transects were strategically planned based on the most accurate bathymetric data available, allowing the camera system to drift from deeper to shallower regions. This methodology was designed to ensure optimal image quality by maximizing light incidence and minimizing attenuation in the water column, a challenge typically encountered during descending transects. Each transect with the Azor drift-cam was planned for approximately 60 to 120 minutes on the seafloor, with the system drifting over benthic habitats at an average speed of 0.5 to 1 knot. Under favourable conditions, each working day facilitated 5 to 6 dives, corresponding to approximately 5 kilometres of seafloor explored daily. Cruise summary: The MapGES 2025 cruise aboard RV Arquipélago consisted of 2 legs and aimed at exploring and revisiting banks, ridges, and seamounts on the south limit of the EEZ of the Azores, south of São Miguel in Mar da Prata, East of Terceira Island and in the Mid-Atlantic ridge. A total of 55 successful dives were conducted out of 56 planned, covering 16 sampling areas. During Leg 1, from the 16th to 24th of August, we performed 23 successful dives with the Azor drift-cam. These first deployments surveyed the deep-sea benthic communities dwelling on the slopes of the geomorphological structures on the south limit of the EEZ of the Azores, named Pico Sul, in the southern area of Mar da Prata and in structures located on the east side of Terceira Island (Heitor Álvares, Alcatraz and Dom João de Castro). This first leg had the purpose to complete some areas we wanted to visit for some time now and to visit two new unexplored areas, Pico Sul, around 230 nm away from Faial Island and Heitor Álvares. During Leg 2, from 27th August to 5th September, a total of 32 successful dives were performed with the Azor drift-cam. This Leg aimed at exploring the seamounts along the Mid-Atlantic Ridge and adjacent areas, some for the first time, and others re-visited in order to complement the previous survey work done there. During this year’s survey, we decided to check what differences could exist in terms of fauna in an isolated and deep seamount (Pico Sul) when compared with the fauna already recorded elsewhere. Fauna encountered in this deep structure was mainly sparse and in low densities. Very interesting deep fauna was observed in the east peaks of Alcatraz geomorphological structure, with sightings of several individuals of the black coral Leiopathes expansa, the rarely recorded glass sponge Asconema cf. setubalense and multiple individuals of the sponge Hertwigia falcifera. Just like it was observed in recent dives performed in the north sectors of Mar da Prata structure, assemblages of a seemingly shallow morphotype of Candidella imbricata were recorded, possibly showing evidence of the wide distribution of this species along all this geomorphological complex. The shallow dives conducted in Dom João de Castro showed extensive and dense coral gardens essentially composed by Viminella flagellum, Dentomuricea aff. meteor and Callogorgia verticillata. We also explored and revisited several Azorean seamounts along the Mid-Atlantic Ridge, documenting unexpected biodiversity and novel records for us. At Ferradura E, we recorded one of the densest aggregations of Hertwigia falcifera recorded in the region and vast ridges dominated by Narella spp. with frequent colonies of black corals Leiopathes expansa. At the newly named Fantas seamount, we observed a possible first Azorean record of a Mid-Atlantic skate Rajella cf. kukujevi. At Menez Gwen, long drift-cam transects revealed recent pillow lavas colonized by large Leiopathes expansa and Placogorgia sp. Picoto seamount hosted one of the largest aggregations of Acanella arbuscula and Chrysogorgia sp. recorded in the region, while Alfa seamount hosted impressive Paragorgia johnsoni “forests” and diverse associated fauna. Main achievements: During the MapGES 2025 survey conducted aboard the RV Arquipélago, 55 stations were completed using the Azor drift-cam. The performed stations spanned depths ranging from 230 to 1234 m, encompassing a broad spectrum of marine strata. The survey covered approximately 45 km of the seafloor and generated more than 74 hours of video footage for analysis. These numbers represent a big achievement considering that we successfully operated, once again, the Azor drift-cam with several improvements, including an umbilical cable of 1500m, the underwater positioning system (USBL), the external power feeding of the GoPro camera and the addition of a second spotlight. We visited one of the most isolated and offshore seamounts of the Azores EEZ, Pico Sul. This geomorphological structure is at a total distance of around 230 nm from Faial Island. The transit took more than 27h to reach this area and is among the furthest areas ever explored with the Azor drift-cam. The deepest and longest dives with the Azor drift-cam were carried out during this year’s survey: the deepest at Pico Sul, largely exceeding 1200 m, the longest in distance at Menez Gwen (~2.6 km), and the longest in terms of duration at Beta, lasting more than 3 hours. At the newly explored A10 area, our cameras captured a very pale, ghost-like ray that lingered calmly in front of the system. This sighting may represent the first record of the Mid-Atlantic skate (Rajella cf. kukujevi) in the Azores. Inspired by this unusual encounter, the site was renamed “Fantas” seamount, short for Fantasma (“ghost” in Portuguese). The A13 seamount is yet to be renamed. The deeper strata, including the intermediate and lower slopes of the visited seamounts, harboured lush benthic communities, visibly thriving on the seafloor. The richness, abundance, and environmental conditions of many of these assemblages were unexpected, especially as some areas surveyed in the past revealed substantially poorer megabenthic communities. These observations demonstrate how quickly one’s perception of a seamount’s ecological value can change with a few complementary dives and additional seafloor coverage. They also highlight the importance of systematic and repeated exploration to capture the full extent of habitat diversity, ensuring that future spatial planning and conservation measures are grounded in comprehensive and representative knowledge. This year’s survey revealed contrasting patterns of benthic diversity, from sparse communities at Pico Sul to notably rich assemblages in other areas. At this isolated seamount, benthic megafaunal assemblages appear limited, with most species occurring solitarily. Such patterns may offer preliminary clues to the structure of communities on deep, isolated seamounts. The black coral Leiopathes expansa and the glass sponge Hertwigia falcifera were frequently spotted on the multiple outcrops and overhangs found. During the exploration of Ferradura E area, the deeper sectors revealed unique and localized megabenthic communities usually composed of a large variety of species. We recorded what we think could be one of the densest aggregations of the large yellow hexactinellid Hertwigia falcifera. The increment in the observations of these species can also be influenced by the deeper sectors explored this year. Thriving benthic fauna was observed on the deep eastern summits of Alcatraz, including a localized patch of the rarely seen glass sponge Asconema cf. setubalense on a basaltic boulder. This was possibly the first record of this species with the Azor drift-cam. Dense assemblages of a shallow morphotype of Candidella imbricata point to a broad ecological footprint of this primnoid coral within Mar da Prata complex. This interpretation is supported by the remarkable aggregations documented during last year’s survey in M
Nothing to show yet... Try again later.
Nothing to show yet... Try again later.

Follow us on social media to stay updated

Location

Institute of Marine Sciences — Okeanos, University of the Azores

Departamento de Oceanografia e Pescas — Universidade dos Açores

Rua Prof. Doutor Frederico Machado, No. 4
9901-862 Horta, Portugal

Contact

FOLLOW US
ADSR

AZORES DEEP-SEA RESEARCH © 2020-2026 — RELEASE 2.1

Developed by Valter Medeiros VALTER MEDEIROS