BIOMETORE 2015

BIOMETORE 2015 to the Great Meteor Complex seamounts

Logo

BIOMETORE 2015

Loading cruise data…

BIOMETORE 2015 to the Great Meteor Complex seamounts

Location: Atlantis, Irving

Year: 2015

15 stations

4 dives

4200 km transits

2 areas visited

AZORES DEEP-SEA RESEARCH

Summary

BIOMETORE 2015 to the Great Meteor Complex seamounts

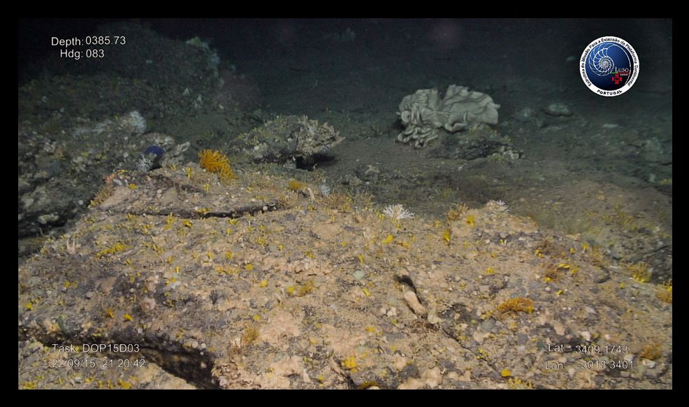
The main objective of the cruise was to characterize deep-sea benthic communities and identify Vulnerable Marine Ecosystems (VME) in the Great Meteor Complex, specifically to (i) map the benthic communities inhabiting the Atlantis and Irving seamounts using the ROV Luso; (ii) identify new areas that fit the FAO VME definition; and (iii) collect complementary biological, oceanographic, and geophysical data. The results of this cruise contributed to the baseline knowledge of these remote seamount ecosystems, documenting rich coral and sponge gardens, evidence of anthropogenic impacts, and potential new habitats. The data collected provides valuable information for scientific assessment and future conservation measures in the deep Atlantic.

The BIOMETORE 2015 cruise was a partnership between the Institute of Marine Research (IMAR) of the University of the Azores, the Portuguese Institute for Sea and Atmosphere (IPMA), the Polytechnic School of Technology and the Sea (ESTM), and the Portuguese Task Group for the Extension of the Continental Shelf (EMEPC). The expedition aimed to explore the benthic ecosystems of the Great Meteor Complex seamounts (Atlantis and Irving) using the Portuguese ROV Luso aboard the vessel NRP Almirante Gago Coutinho.

Show less ↑
Show more ↓

Statistics

Transits
4200 km
Multibeam Bathymetry
877 km²
Filmed Seabed
6 km
Visited Areas
2
Stations
15
Dives
4
Video Footage Recorded
21 hours
Used Storage
Tb
Samples
52
— Samples collected during the 4 dives with ROV Luso at the Atlantis and Irving seamounts. Data represents 11 collection events with a total of 52 collected biological samples of benthic specimens.

Highlights

  1. Diverse and rich benthic communities were documented on both seamounts, dominated by cold-water corals (e.g., Iridogorgia sp., Corallium tricolor, Madrepora oculata, Viminella flagellum) and a variety of sponge species, forming structurally complex habitats.
  2. A potential new coral garden habitat was discovered on the Irving Seamount, characterized by dense aggregations of the octocorals Viminella flagellum and Narella sp., which may constitute a Vulnerable Marine Ecosystem (VME).
  3. The expedition collected 52 biological samples and 4 seawater samples during ROV dives, alongside extensive oceanographic profiles, supporting future taxonomic, genetic, and ecological studies of seamount fauna.
  4. Direct evidence of human impacts was observed, including lost longline fishing gear that temporarily entangled the ROV and seafloor marks suggestive of past bottom trawling activities, highlighting potential threats to these ecosystems.
  5. A total of 5 successful ROV dives were completed, surveying approximately 5.9 km of seafloor across depth gradients from 1335 m to 327 m, and an acoustic telemetry station was successfully recovered.
  6. New multibeam bathymetry and backscatter data were acquired for both the Atlantis and Irving seamounts, significantly improving the seafloor map coverage of these underwater features.
Show less ↑
Show more ↓

Location of operation

Atlantis, Irving

AZORES DEEP-SEA RESEARCH © CRUISES

Stations

BIOMETORE 2015

Activities

Video survey (ROV Luso) Multibeam

Cruise crew

Chief scientist

Scientific crew

Collaborators

Íris Sampaio
Ana Martins
Clara Loureiro
André Gonçalves
Catarina Mendes
Cruise report BIOMETORE 2015 to the Great Meteor Complex seamounts (Atlantis and Irving) onboard the NRP Almirante Gago Coutinho
Zenodo
|
Oct, 2015
2 team members are authors
OA Citations 1 DOI 10.5281/zenodo.7433210
Authors 10.5281/zenodo.7433210
Marina Carreiro‐Silva
Ana Martins Íris Sampaio Clara Magalhães Loureiro André Gonçalves Catarina Mendes
Telmo Morato
Abstract
Objectives: (i) to map benthic communities inhabiting the seamounts of the Great Meteor Complex with the ROV Luso; (ii) identify new vulnerable marine ecosystems; (iii) collect biological and seawater samples; (iv) collect multibeam and backscatter data; (v) collect oceanographic data. Vessel: NRP Almirante Gago Coutinho Chief scientist: Marina Carreiro-Silva Scientific team: Marina Carreiro-Silva, Telmo Morato, Íris Sampaio, (IMAR UAç, MARE), Ana Martins, Clara Loureiro (DOP, UAç), André Gonçalves (IPMA), Catarina Mendes (IPL, ESTM) ROV Luso team: António Calado, Andreia Afonso, Bruno Ramos, Carlos Neto, João Quintas (EMEPC), Renato Bettencourt (IMAR UAç)
Nothing to show yet... Try again later.
Spatial distributions, environmental drivers and co-existence patterns of key cold-water corals in the deep sea of the Azores (NE Atlantic)
Deep Sea Research Part I Oceanographic Research Papers
|
Mar, 2023
6 team members are authors
OA Citations 20 DOI 10.1016/j.dsr.2023.104028
Authors 10.1016/j.dsr.2023.104028

Follow us on social media to stay updated

Location

Institute of Marine Sciences — Okeanos, University of the Azores

Departamento de Oceanografia e Pescas — Universidade dos Açores

Rua Prof. Doutor Frederico Machado, No. 4
9901-862 Horta, Portugal

Contact

FOLLOW US
ADSR

AZORES DEEP-SEA RESEARCH © 2020-2026 — RELEASE 2.1

Developed by Valter Medeiros VALTER MEDEIROS